1 Bagni 115 m2
Caratteristiche principali
Prezzo
1.800 EUR / mese
Spese condominiali
2.496 EUR
Classe
F (59,27 [kWh/m³a])
Locali
2
Altre caratteristiche e accessori
Stato Immobile
Ottimo
Grado
Signorile
Posizione
Centro
Lati Liberi
1
Riscaldamento
Centralizzato
Tipo Impianto
Radiatori
Infissi
Metallo
Cauzione
Tre Mesi
Tipo Contratto
6+6 Anni
Numero Vetrine
Una
Accessori
Cancello Elettrico, Passaggio Automobilistico, Passaggio Pedonale, Portineria/Custode
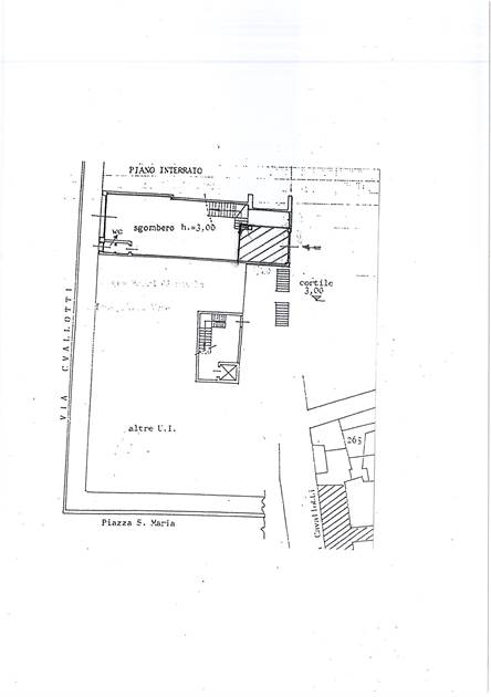
Busto Arsizio, nel pieno del centro storico, a pochi passi da Piazza Santa Maria, in via Cavallotti 2, affittiamo bel negozio con grande visibilita'.
A piano terra troviamo 50 Mq. di luminoso spazio di vendita, una comoda scala conduce a piano inferiore dove troviamo un ampio magazzino di 65 Mq. fornito di finestre ed il bagno. Una porta che affaccia sul corsello permette il comodo carico scarico delle merci. Buone le finiture generali e gli impianti.
Riscaldamento centralizzato e portineria.
Classe energetica F - EPh 59,27 KWh/m3a
Affitto richiesto € 1.800,00 + IVA / mese.
Spese condominiali € 210,00 / mese.
via Felice Cavallotti 2, Busto Arsizio (VA)
Cookie preference